売地 静岡市駿河区 中村町 (静岡駅) 住宅用地
| 価格 | 1,700万円 | 最適用途 | 住宅用地 | ||
|---|---|---|---|---|---|
| 交通 | JR東海道本線(熱海~米原) / 静岡駅 徒歩35分 | ||||
| 所在地 | 静岡県静岡市駿河区中村町 | ||||
| 土地面積 | 86.40㎡ | 坪数 | 26.13坪 | 坪単価 | 65.05万円 |
| 私道負担面積 | - | 引渡方法 | 相談 | 建ぺい率/容積率 | 80%/200% |
- 建築条件なし
- 所有権
- 即引渡し可
- 更地
- 角地
- 上水道
- 下水道
- 都市ガス
- 電気
- 側溝
- おすすめコメント
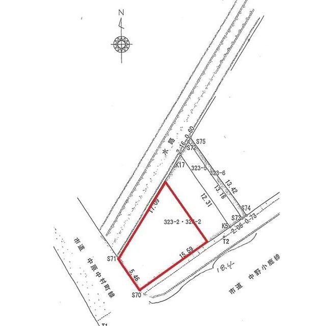
- 静岡インターから500m、SBS通り沿いの角地。隣地と併せての購入も可能です。
物件詳細情報
| 交通 | JR東海道本線(熱海~米原) / 静岡駅 徒歩35分 | ||
|---|---|---|---|
| その他交通 | - | ||
| 所在地 | 静岡県静岡市駿河区中村町 | ||
| 物件種目 | 売地 | ||
| 価格 | 1,700万円 | 坪単価 | 65.05万円 |
|---|---|---|---|
| 借地期間・地代(月額) | -(-) | 権利金 | - |
| 敷金/保証金 | -/- | 維持費等 | - |
| その他一時金 | - | ||
| 設備 | 上水道 下水道 | ||
|---|---|---|---|
| 特記事項 | - | ||
| 備考 | 法令等制限:日影規制 静岡インターから500m、SBS通り沿いの角地。隣地と併せての購入も可能です。 |
||
| 土地面積 | 86.40㎡ | 坪数 | 26.13坪 |
|---|---|---|---|
| 最適用途 | 住宅用地 | 私道負担面積 | - |
| 土地権利 | 所有権 | 都市計画 | 市街化区域 |
| 用途地域 | 近隣商業 | 地勢 | 平坦 |
| 建ぺい率 | 80% | 容積率 | 200% |
| 接道状況 | 南20.1m 公道 接面7.3m | 地目 | 宅地 |
| 国土法届出 | - | セットバック | - |
| 条件等 | - | ||
|---|---|---|---|
| 現況 | 更地 | 引渡し(可能時期/方法) | 相談 / 相談 |
| 物件番号 | 1057972898 | 管理番号 | 000000149222031101202602201523 |
| 仲介手数料 | 価格の3.0%+6万円 | ||
| 情報公開日 | 2026/02/21 | 次回更新予定日 | 2026/03/07 |
※「-」と表示されている項目については、情報提供会社にご確認ください。
情報提供会社
(株)アイワ不動産 清水支店
- 交通:
- 東海道本線/清水 徒歩10分
- 住所:
- 静岡県静岡市清水区千歳町2-25
- TEL:
- 054-355-2400
- FAX:
- 054-355-2401
- 所属団体など:
(公社)静岡県宅地建物取引業協会会員 東海不動産公正取引協議会加盟 - 取引態様:
- 一般媒介
- 免許番号:
- 静岡県知事免許(6)第11701号
- 間取図は、現況を優先させていただきます。
- 映像は物件の一部を撮影したものです。物件の契約にあたっての最終判断はご自身の判断に基づいて行ってください。
-
仲介手数料について
仲介手数料とは 売主と買主の契約の仲立ちを行う不動産会社に支払う報酬です。
宅地建物取引業法等(法第46条・建設省告示第1552号他)により取引態様ごとに受け取ることのできる報酬の上限額が定められています。
取引態様が「売主」の場合は不要です。
「媒介(一般・専任・専属専任)」「仲介」の場合、売買代金を以下のように区分し、それぞれ定められた割合を乗じて得た金額の合計額が上限となります。
(建物に係る消費税額を除外した額)200万円以下の金額 5.5% 200万円を超え400万円以下の金額 4.4% 400万円を超える金額 3.3%
※参考 簡易計算方式(算出した金額が上限額となります。)200万円を超え400万円以下の場合 4.4%+2.2万円 400万円を超える場合 3.3%+6.6万円
「代理」の場合、一つの取引において、上記仲介の計算方法により算出した金額の2倍以内が上限となります。
※「低廉な空家等」物件については、特例により上記上限額を超える場合があります。
物件によって金額が異なります。
お問い合わせの際は十分ご確認ください。 - 消費税について
当サイトの課税対象となる物件価格およびその他費用等は、税込み表示となっております(100円未満は切上げ)。
詳しくは、当社までお問い合わせください。
